Остеосинтез
Остеосинтез — хирургическая репозиция костных отломков при помощи различных фиксирующих конструкций, обеспечивающих длительное устранение их подвижности. Цель остеосинтеза — обеспечение стабильной фиксации отломков в правильном положении с сохранением функциональной оси сегмента, стабилизация зоны перелома до полного сращения.
Виды остеосинтеза:
1. Интрамедуллярный остеосинтез - применяется для лечения переломов длинных трубчатых костей. При таком способе внутрь кости устанавливается специальный штифт или спица. Но существуют и ограничения у этого метода - так, он не подходит для лечения переломов костей таза, черепа, позвоночника, челюсти, а также для лечения оскольчатых переломов.
2. Накостный остеосинтез - при таком способе металлическая пластина прикрепляется к костям при помощи специальных болтов. В результате этого достигается хорошая стабилизация обломков костей. Таким методом можно лечить не только переломы трубчатых костей, но и повреждения таза, черепа, позвоночника, лопатки и др. Отрицательной стороной этого метода является достаточно высокая стоимость операции, связанная с применением дорогостоящих материалов (пластин, болтов и специальных инструментов).
3. Внеочаговый остеосинтез - применяется для лечения не только переломов, но и вывихов, и заключается в проведении спиц через кость выше и ниже места перелома с их последующей фиксацией снаружи специальным полимером. Плюсы этого метода заключаются в относительной дешевизне расходных материалов, быстроте проведения операции, надежности фиксации обломков.
В нашей ветеринарной клинике накоплен большой опыт применения всех видов остеосинтеза у животных всех размеров, что позволяет подходить к лечению каждого случая индивидуально и рекомендовать наиболее оптимальный метод реконструктивно-восстановительной хирургии.
Далее представлены некоторые клинические случаи различных типов переломов и методы их лечения.
Простые, не оскольчатые переломы голени
Перелом голени: дистальный эпифиз, прямой, не оскольчатый, закрытый. Слева - без смещения. Справа - со значимым смещением. Выполнен внеочаговый остеосинтез с помощью аппарата внешней фиксации.
Восстановление опоры: 3 день после операции. Прогноз: благоприятный




Простые, не оскольчатые переломы предплечья
Перелом предплечья: дистальный эпифиз, прямой, не оскольчатый, закрытый. Слева - без значимого смещения. Справа - со значимым смещением. Выполнен внеочаговый остеосинтез с помощью аппарата внешней фиксации.
Восстановление опоры: 3 день после операции. Прогноз: благоприятный



Переломы плечевой кости
Перелом плечевой кости: диафизарный, не оскольчатый, со смещением, закрытый. Слева - прямой. Справа - косой. Выполнен комбинированный остеосинтез: интрамедулярный и внеочаговый, с помощью ретроградной спицы и аппарата внешней фиксации.
Восстановление опоры: 7 день после операции. Прогноз: благоприятный




Переломы позвоночника
1. Вентральная стабилизация позвонков при атланто-аксиальной нестабильности
2. Дорсальная стабилизация позвонков L6-L7 при травматическом переломе


Вывихи
Вывих локтевого сустава с выраженным смещением. Выполнено вправление вывиха и протезирование связок
Восстановление опоры через 3 дня после операции. Прогноз благоприятный.


Сложные сегментарные переломы бедра
Перелом бедра: проксимальный и дистальный эпифиз, оскольчатый, со смещением, закрытый. Выполнен интрамедулярный и внеочаговый остеосинтез.
Восстановление опоры: 7 день после операции. Прогноз: осторожный



Множественные переломы предплечья
Перелом лучевой и локтевой костей левой и правой лап: многооскольчатый, со смещением, закрытый. Слева - до операции. Справа - на следующий день после операции. Выполнен внеочаговый остеосинтез.
Восстановление опоры: 2 день после операции. Прогноз: благоприятный



Множественные переломы тазовых конечностей
Множественные переломы тазовых конечностей: не оскольчатый, без смещения, закрыте. Выполнен комбинированный остеосинтез.
Восстановление опоры: 6 день после операции. Прогноз: благоприятный


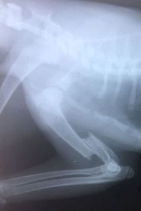
Отрыв шероховатости большеберцовой кости
Отрыв шероховатости большеберцовой кости со смещением. Выполнена репозиция с фиксацией спицей и компрессионным серкляжным швом.
Восстановление опоры: 7 день после операции. Прогноз: благоприятный




Простой перелом таза
Перелом подвздошной кости таза со значимым смещением. Сверху выполнен внеочаговый остеосинтез с аппаратом внешней фиксации, снизу накостный остеосинтез с использованием реконструктивной пластиной.
Восстановление опоры: 2 день после операции. Прогноз: благоприятный




Сложный оскольчатый перелом таза
Множественный перелом костей таза со значимым смещением и вывихом тазобедренного сустава. Выполнен внеочаговый остеосинтез с аппаратом внешней фиксации и одномоментным протезированием кругловидной связки ТБС
Не полное восстановление опоры: 20 день после операции. Прогноз: осторожный


Внутрисуставные переломы
1. Перелом локтевого бугра без смещения. Выполнен остеосинтез спицами Киршнера и компрессионным серкляжным швом
2. Перелом латерального мыщелка плечевой кости(а), бедренной кости(б). Выполнен отеосинтез компрессионным винтом и антиротационной спицей.
3. Перелом шейки бедра. выполнен остеосинтез с остеотомией большого вертела на спицы Кришнера и компрессионный серкляжный шов.
Не полное восстановление опоры: 7 день после операции. Прогноз: осторожный до благоприятного








Коррекция разрыва передней крестообразной связки
Разрыв передней крестообразной связки у собаки. Выполнена двойная клиновидная остеотомия (TWO) с накостной фиксацией Т-образной пластиной и серкляжным швом для изменения наклона плато большеберцовой кости.
Полное восстановление опоры: 20 день после операции. Прогноз: благоприятный

